売却基準価額 (裁判所評価額)
777万円
JR釧網本線 / 札弦 徒歩137分(8.8 km)
JR釧網本線 / 止別 徒歩144分(9.2 km)
入札締切
入札終了
2026年04月16日
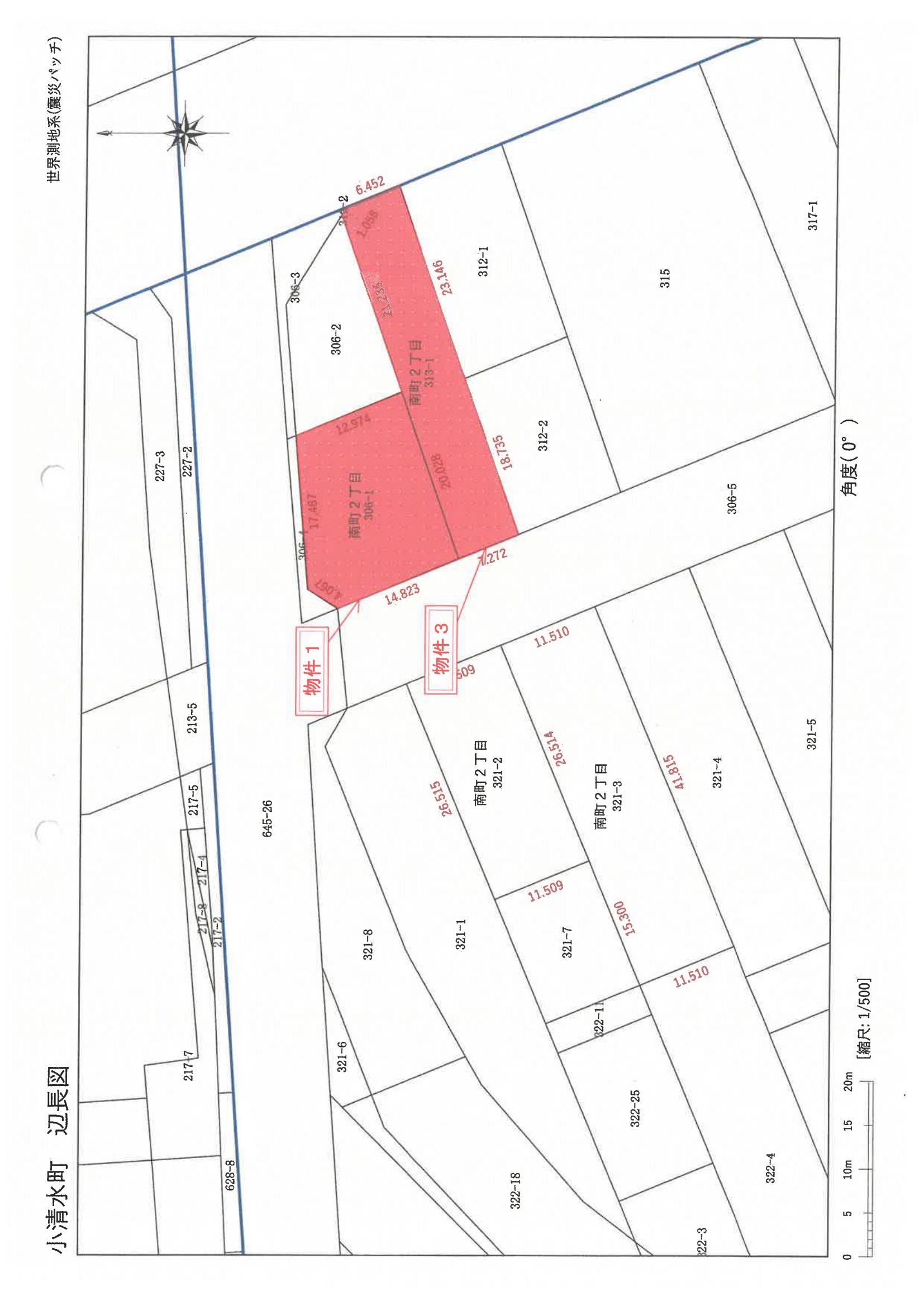
物件の概況
| contact_url | https://www.bit.courts.go.jp/info/info_38411.html |
|---|---|
| 売却基準価額 | 7,770,000円 |
| 買受可能価額 | 6,216,000円 |
| 買受申出保証金 | 1,554,000円 |
競売物件詳細
このエリアの過去の落札データが見つかりませんでした。
🤖 AI 総合分析レポート
機能アップデート中
機能は現在開発中です。
次期バージョンでアップデートされる予定です。



















