売却基準価額 (裁判所評価額)
392万円
上毛電気鉄道上毛線 / 三俣 徒歩76分(4.8 km)
上毛電気鉄道上毛線 / 片貝 徒歩76分(4.9 km)
入札締切
あと2日
2026年04月21日
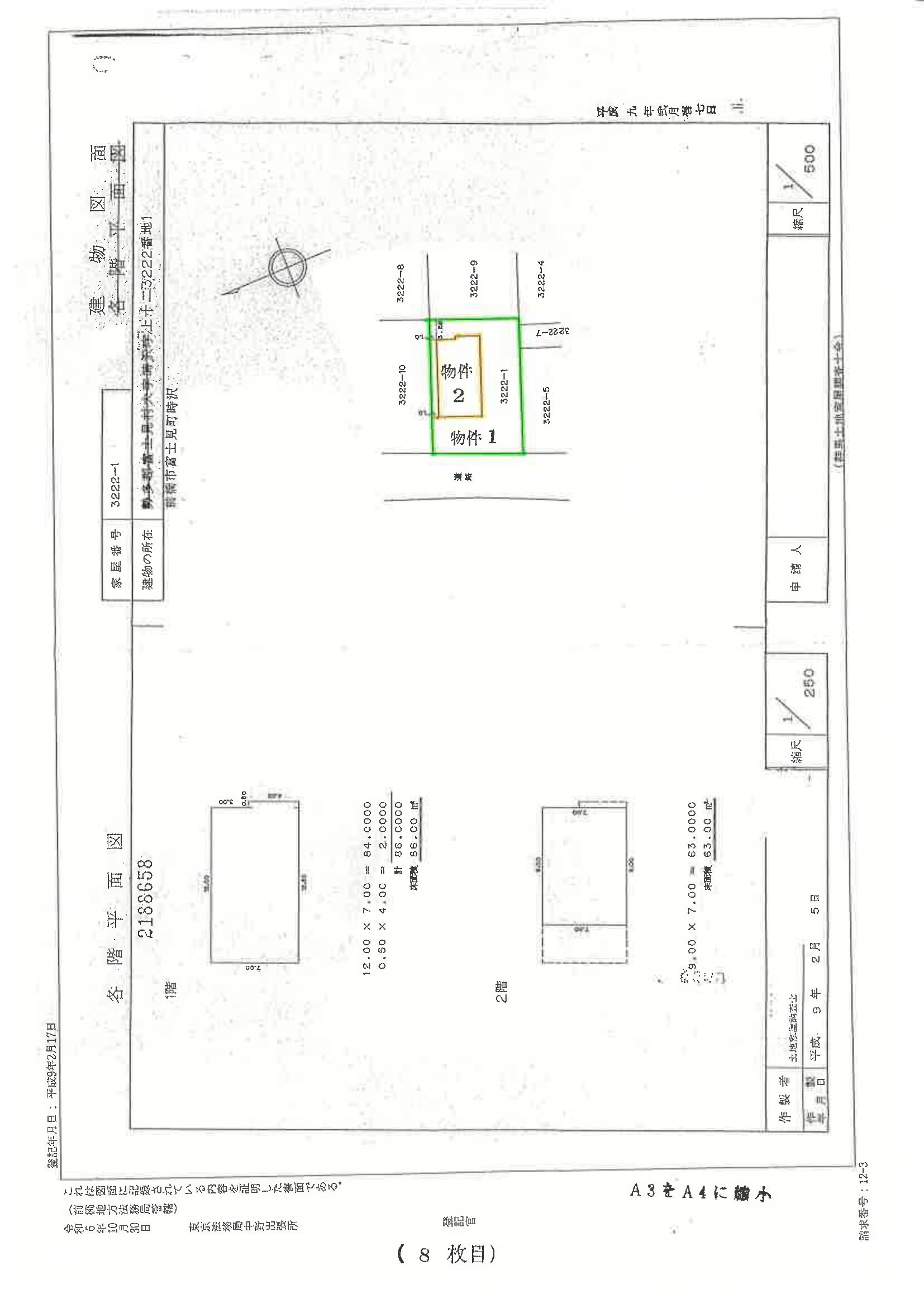
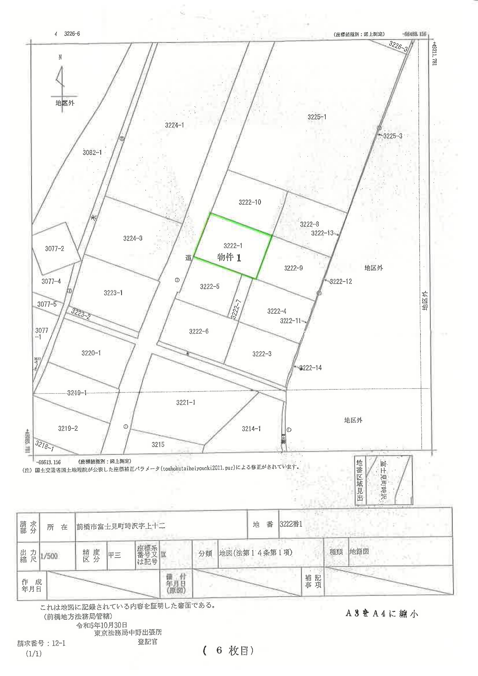
物件の概況
| contact_url | https://www.bit.courts.go.jp/info/info_31711.html |
|---|---|
| 入札期間 | 令和08年04月14日 〜 令和08年04月21日 |
| 開札期日 | 令和08年04月28日 |
| 公示開始日 | 令和08年03月11日 |
| 閲覧開始日 |
🤖 AI 総合分析レポート
機能アップデート中
機能は現在開発中です。
次期バージョンでアップデートされる予定です。



















