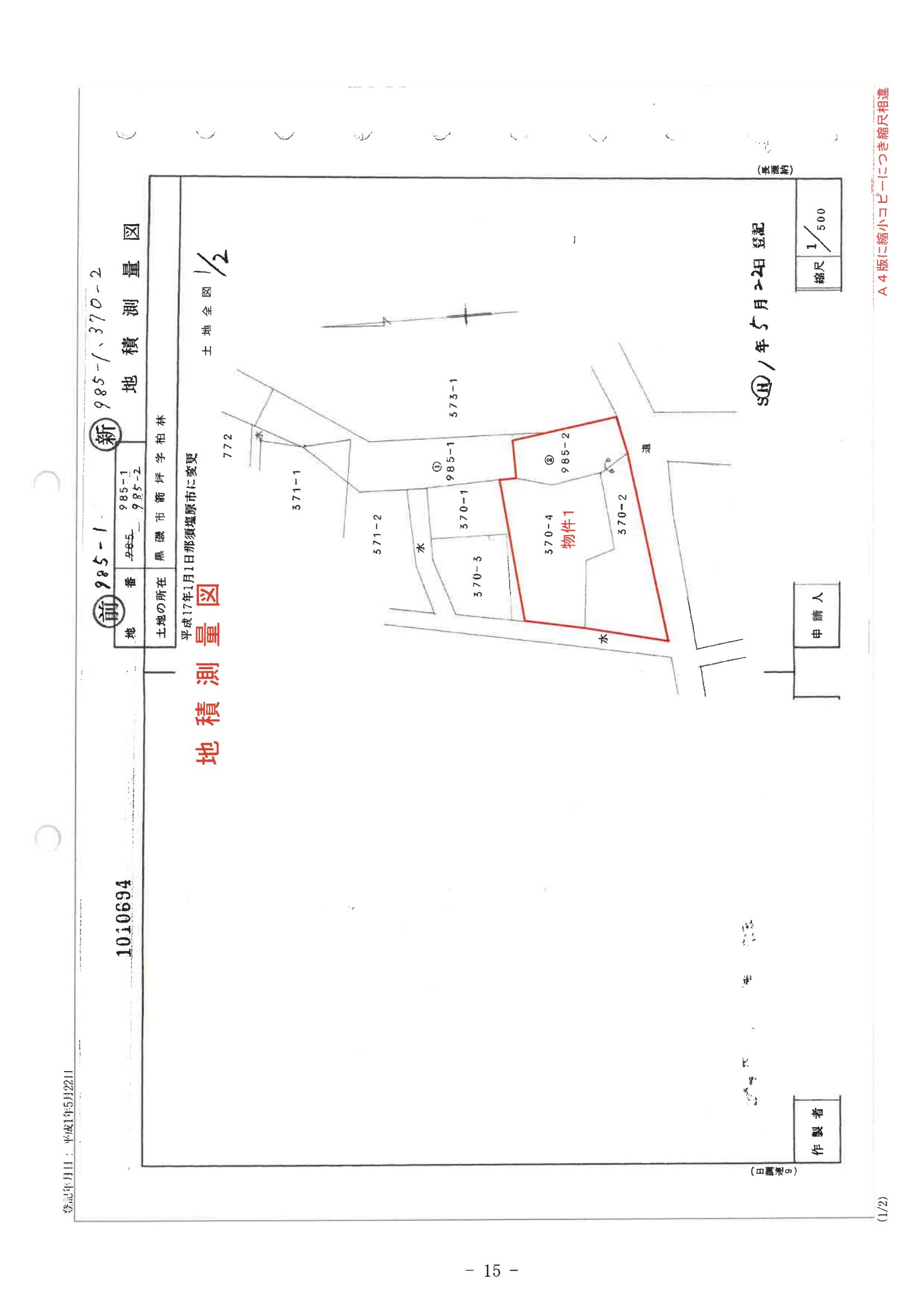
栃木県 那須塩原市栃木県那須塩原市箭坪字柏林 370番2
🚉黒磯 徒歩167分
売却基準価額 (裁判所評価額)
343万円
黒磯 徒歩167分(10.7 km)
那須塩原 徒歩168分(10.7 km)
物件の概況
| contact_url | https://www.bit.courts.go.jp/info/info_31642.html |
|---|---|
| 入札期間 | 令和08年05月14日 〜 令和08年05月21日 |
| 開札期日 | 令和08年05月28日 |
| 公示開始日 | 令和08年04月03日 |
| 閲覧開始日 | 令和08年04月03日 |
🤖 AI 総合分析レポート
機能アップデート中
機能は現在開発中です。
次期バージョンでアップデートされる予定です。



















