売却基準価額 (裁判所評価額)
2,319万円
東葉高速線 / 八千代中央 徒歩25分(1.6 km)
東葉高速線 / 八千代緑が丘 徒歩27分(1.7 km)
入札締切
あと24日
2026年05月13日
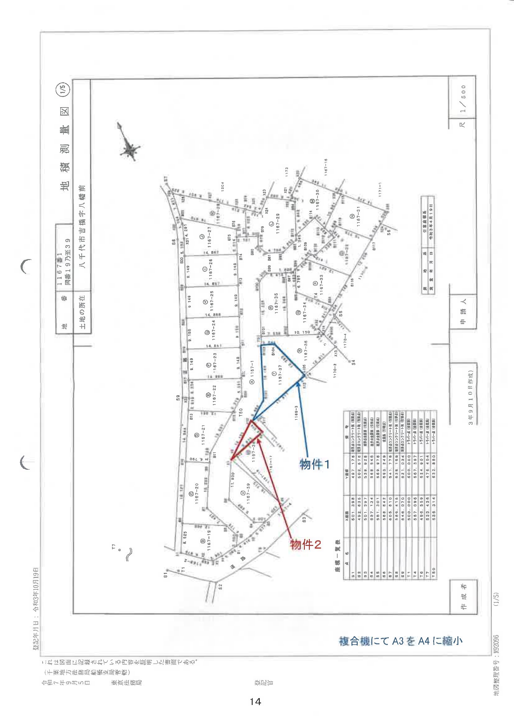
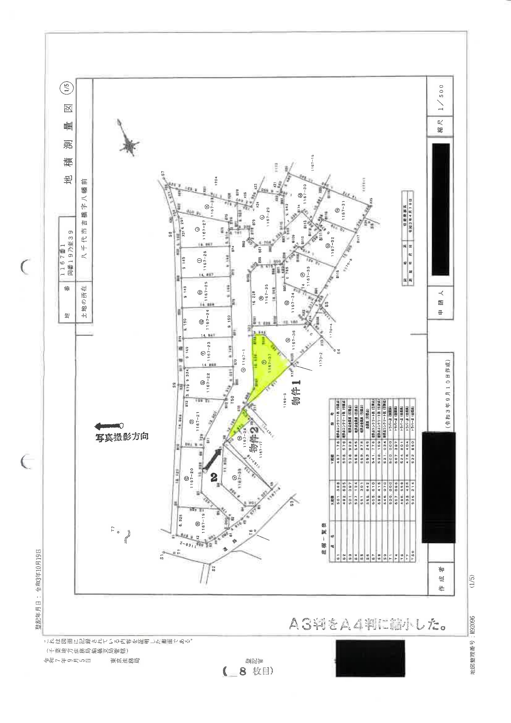
物件の概況
| contact_url | https://www.bit.courts.go.jp/info/info_31411.html |
|---|---|
| 入札期間 | 令和08年04月30日 〜 令和08年05月13日 |
| 開札期日 | 令和08年05月20日 |
| 公示開始日 | 令和08年04月14日 |
| 閲覧開始日 |
🤖 AI 総合分析レポート
機能アップデート中
機能は現在開発中です。
次期バージョンでアップデートされる予定です。

















