KeibaiKoubaiFinder
1065
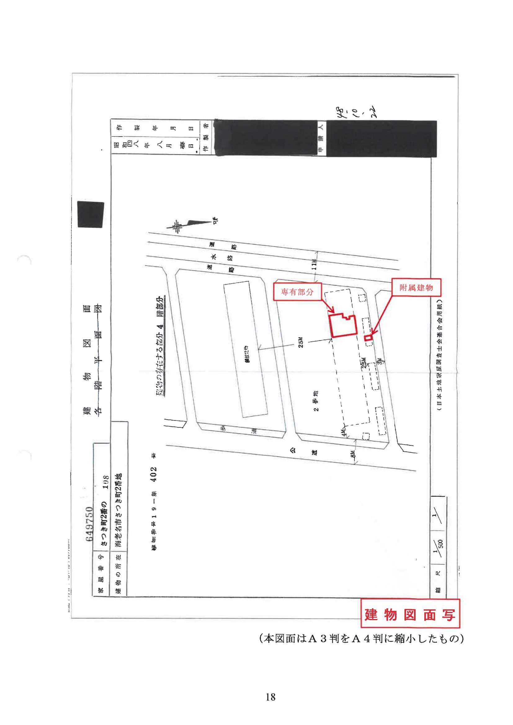
【6,890,000円】神奈川県海老名市さつき町2番地のマンション|横浜地方裁判所 競売物件情報|Keibai Finder