📈 ギャップ +92.1%
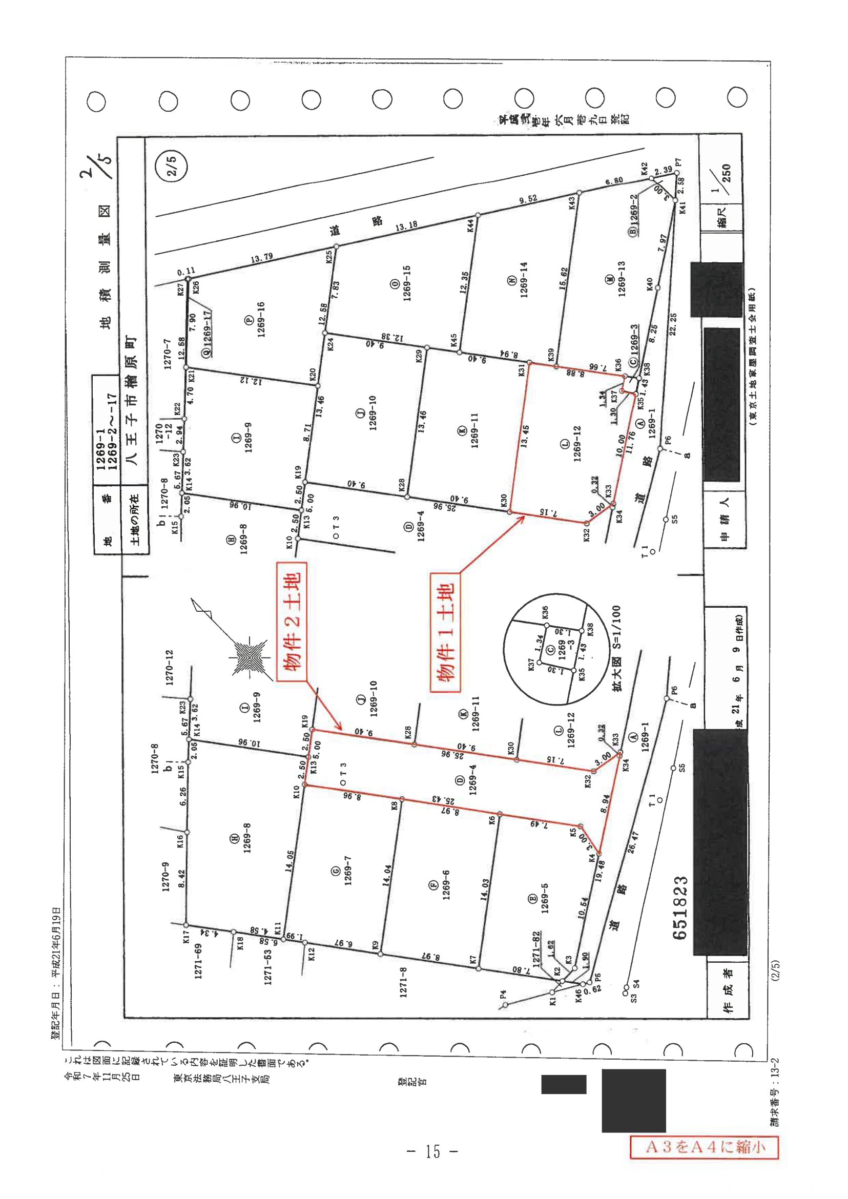
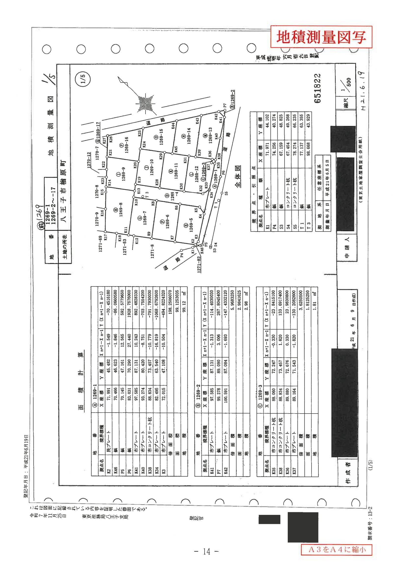
東京都 八王子市東京都八王子市楢原町 1269番12
土地📐270m²👁️472
📅 5/7 ~ 5/13
🚉JR中央本線(東京~塩尻) / 西八王子 徒歩41分
売却基準価額 (裁判所評価額)
182万円
JR中央本線(東京~塩尻) / 西八王子 徒歩41分(2.6 km)
JR中央線(快速) / 西八王子 徒歩41分(2.6 km)
入札締切
あと24日
2026年05月13日
物件の概況
| contact_url | https://www.bit.courts.go.jp/info/info_31131.html |
|---|---|
| 入札期間 | 令和08年05月07日 〜 令和08年05月13日 |
| 開札期日 | 令和08年05月19日 |
| 公示開始日 | 令和08年04月17日 |
| 閲覧開始日 |
🤖 AI 総合分析レポート
機能アップデート中
機能は現在開発中です。
次期バージョンでアップデートされる予定です。


















