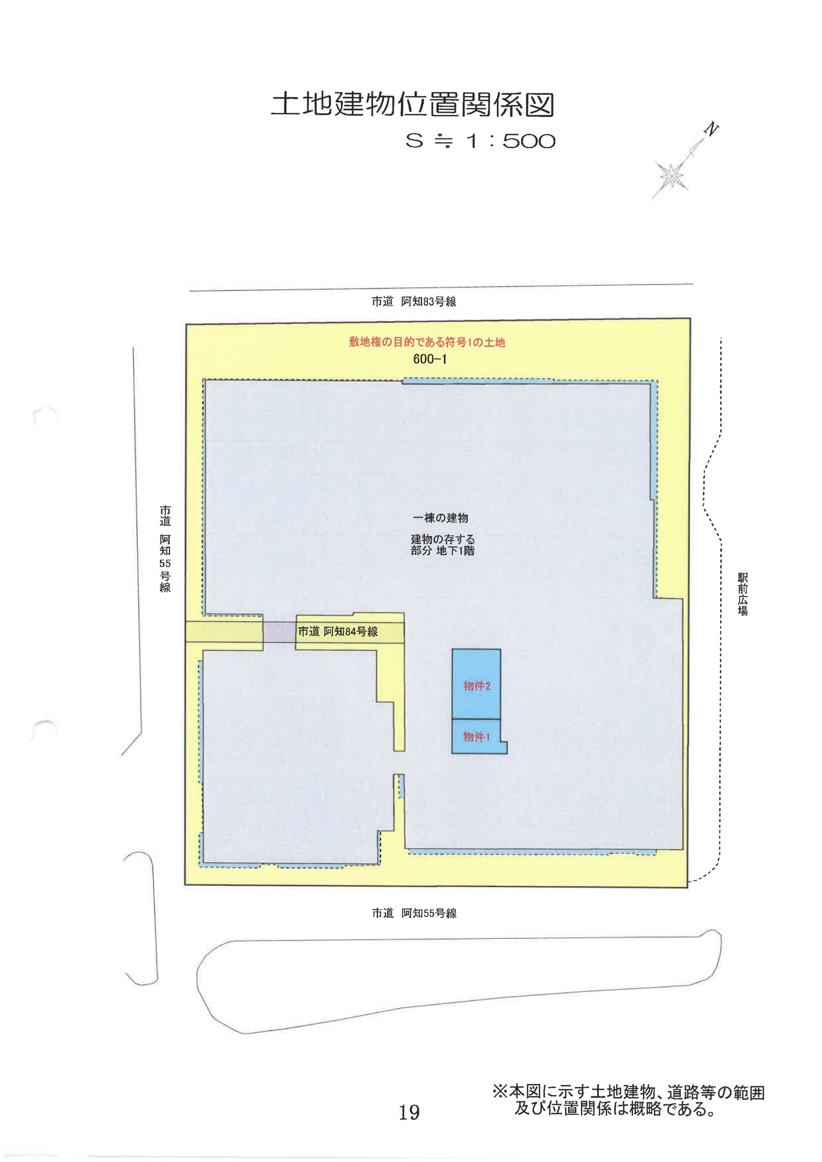
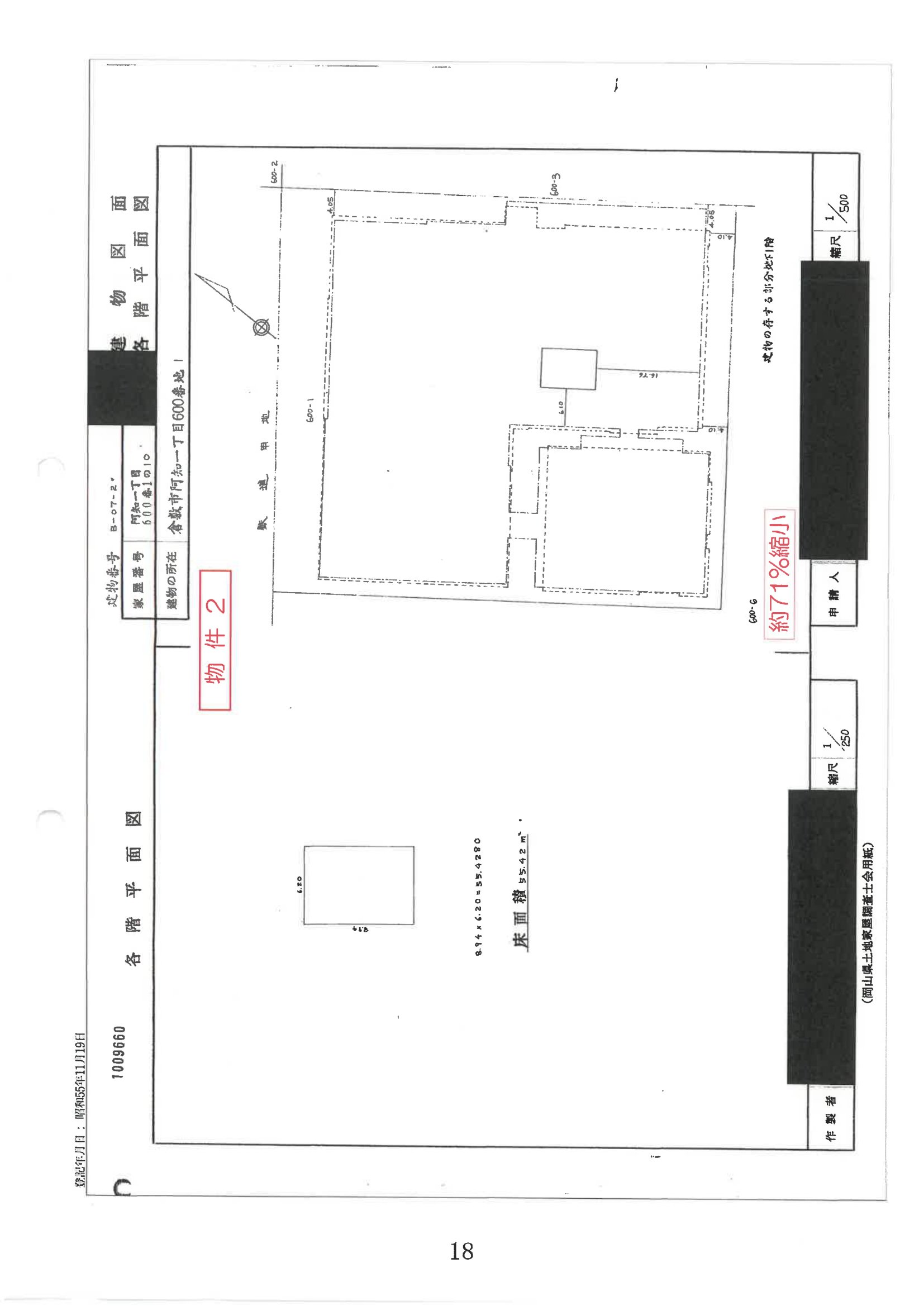
岡山県 倉敷市岡山県倉敷市阿知一丁目600番地1
🚉倉敷 徒歩1分
売却基準価額 (裁判所評価額)
265万円
倉敷 徒歩1分(0.1 km)
水島臨海鉄道水島本線 / 倉敷市 徒歩3分(0.2 km)
物件の概況
| contact_url | https://www.bit.courts.go.jp/info/info_35311.html |
|---|---|
| 入札期間 | 令和08年05月07日 〜 令和08年05月14日 |
| 開札期日 | 令和08年05月21日 |
| 公示開始日 | 令和08年04月10日 |
| 閲覧開始日 | 令和08年04月10日 |
🤖 AI 総合分析レポート
機能アップデート中
機能は現在開発中です。
次期バージョンでアップデートされる予定です。



















