売却基準価額 (裁判所評価額)
531万円
福井鉄道福武線 / 北府 徒歩219分(14.0 km)
福井鉄道福武線 / スポーツ公園 徒歩220分(14.1 km)
入札締切
あと24日
2026年05月15日
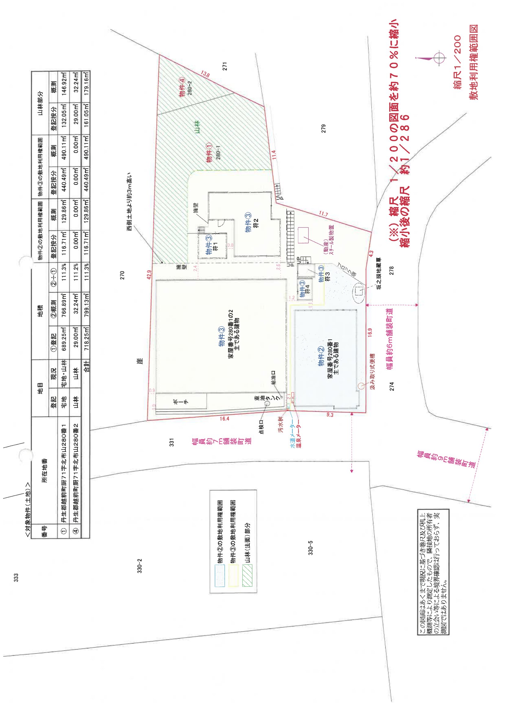
物件の概況
| contact_url | https://www.bit.courts.go.jp/info/info_34411.html |
|---|---|
| 入札期間 | 令和08年05月08日 〜 令和08年05月15日 |
| 開札期日 | 令和08年05月20日 |
| 公示開始日 | 令和08年04月21日 |
| 閲覧開始日 |
🤖 AI 総合分析レポート
機能アップデート中
機能は現在開発中です。
次期バージョンでアップデートされる予定です。
売却基準価額 (裁判所評価額)
531万円
福井鉄道福武線 / 北府 徒歩219分(14.0 km)
福井鉄道福武線 / スポーツ公園 徒歩220分(14.1 km)
入札締切
あと24日
2026年05月15日
物件の概況
| contact_url | https://www.bit.courts.go.jp/info/info_34411.html |
|---|---|
| 入札期間 | 令和08年05月08日 〜 令和08年05月15日 |
| 開札期日 | 令和08年05月20日 |
| 公示開始日 | 令和08年04月21日 |
| 閲覧開始日 |
🤖 AI 総合分析レポート
機能アップデート中
機能は現在開発中です。
次期バージョンでアップデートされる予定です。
















