売却基準価額 (裁判所評価額)
131万円
ハピラインふくい線 / 鯖江 徒歩68分(4.3 km)
福井鉄道福武線 / サンドーム西 徒歩70分(4.4 km)
入札締切
あと94日
2026年07月24日
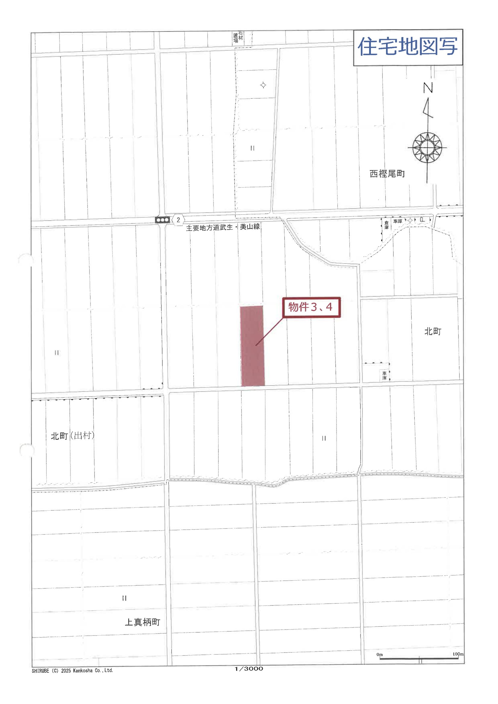
物件の概況
| contact_url | https://www.bit.courts.go.jp/info/info_34411.html |
|---|---|
| 入札期間 | 令和08年07月17日 〜 令和08年07月24日 |
| 開札期日 | 令和08年07月29日 |
| 公示開始日 | 令和08年04月21日 |
| 閲覧開始日 |
🤖 AI 総合分析レポート
機能アップデート中
機能は現在開発中です。
次期バージョンでアップデートされる予定です。
売却基準価額 (裁判所評価額)
131万円
ハピラインふくい線 / 鯖江 徒歩68分(4.3 km)
福井鉄道福武線 / サンドーム西 徒歩70分(4.4 km)
入札締切
あと94日
2026年07月24日
物件の概況
| contact_url | https://www.bit.courts.go.jp/info/info_34411.html |
|---|---|
| 入札期間 | 令和08年07月17日 〜 令和08年07月24日 |
| 開札期日 | 令和08年07月29日 |
| 公示開始日 | 令和08年04月21日 |
| 閲覧開始日 |
🤖 AI 総合分析レポート
機能アップデート中
機能は現在開発中です。
次期バージョンでアップデートされる予定です。











