売却基準価額 (裁判所評価額)
785万円
JR常磐線(取手~いわき) / 土浦 徒歩116分(7.4 km)
JR常磐線(取手~いわき) / 荒川沖 徒歩135分(8.6 km)
入札締切
あと26日
2026年05月15日
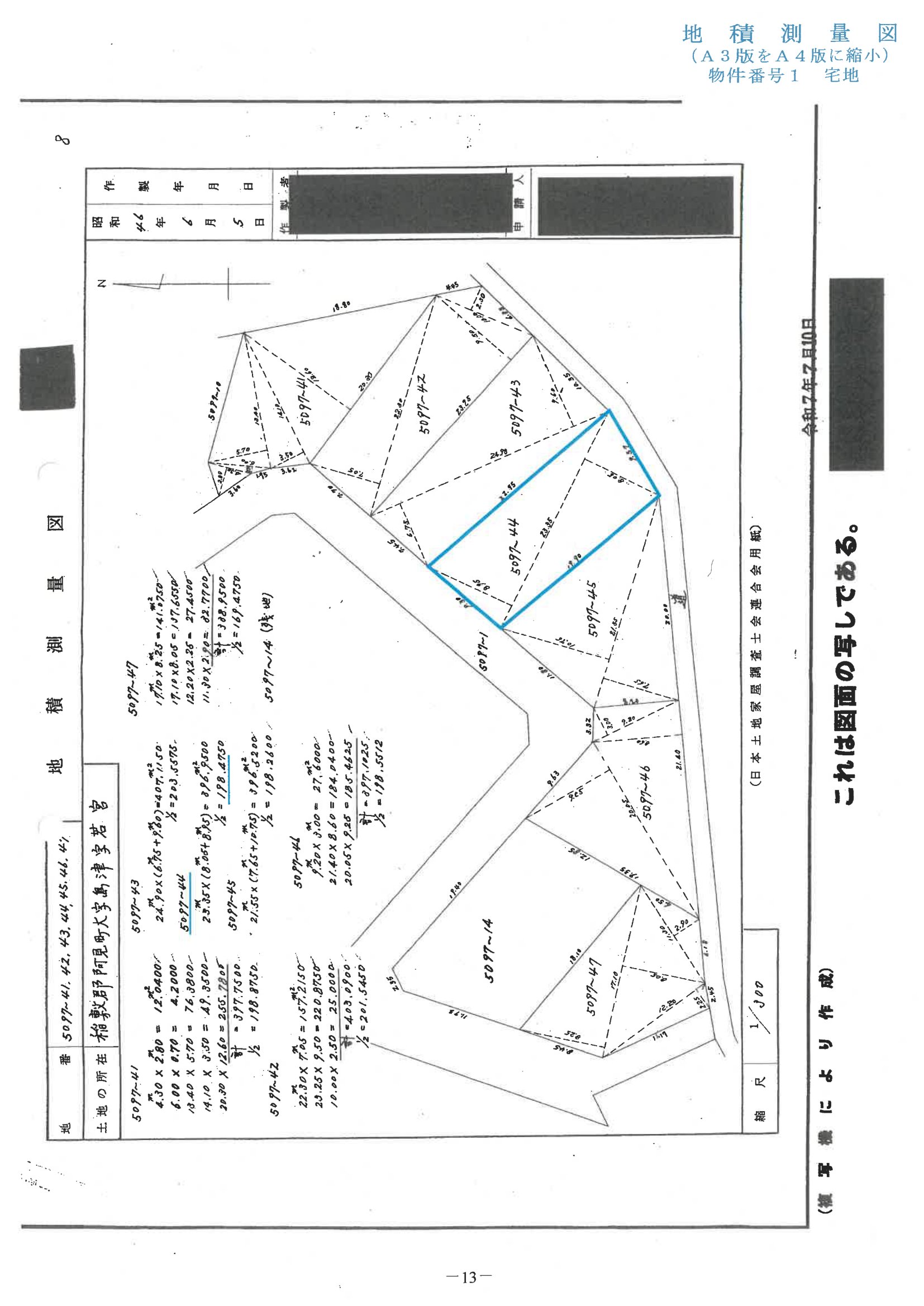
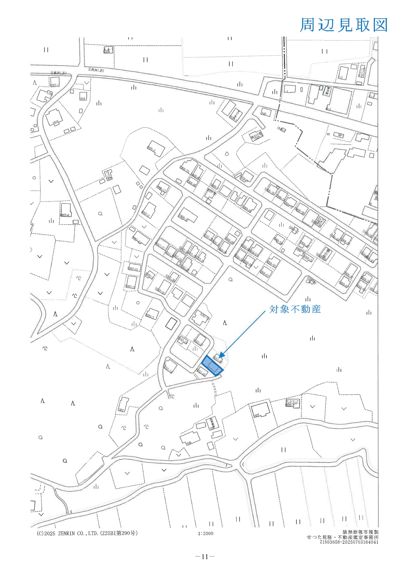
物件の概況
| contact_url | https://www.bit.courts.go.jp/info/info_31531.html |
|---|---|
| 入札期間 | 令和08年05月08日 〜 令和08年05月15日 |
| 開札期日 | 令和08年05月22日 |
| 公示開始日 | 令和08年04月13日 |
| 閲覧開始日 |
🤖 AI 総合分析レポート
機能アップデート中
機能は現在開発中です。
次期バージョンでアップデートされる予定です。




















