KeibaiKoubaiFinder
1065
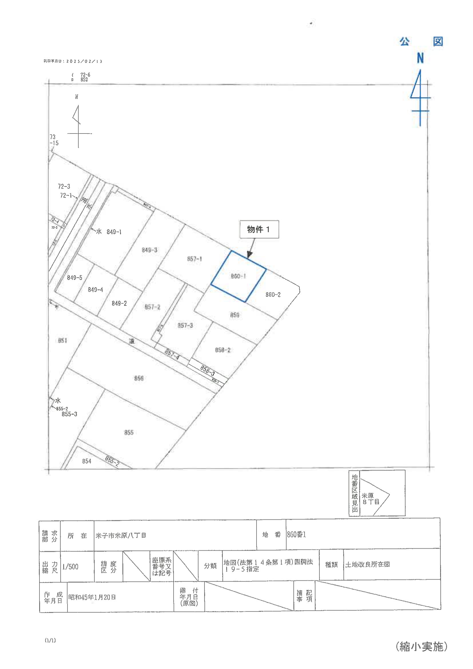
【10,160,000円】鳥取県米子市米原八丁目 860番1の戸建て|鳥取地方裁判所米子支部 競売物件情報|Keibai Finder